電話でのお問い合わせは0566-76-2729
〒446-0025 愛知県安城市古井町軽桶15

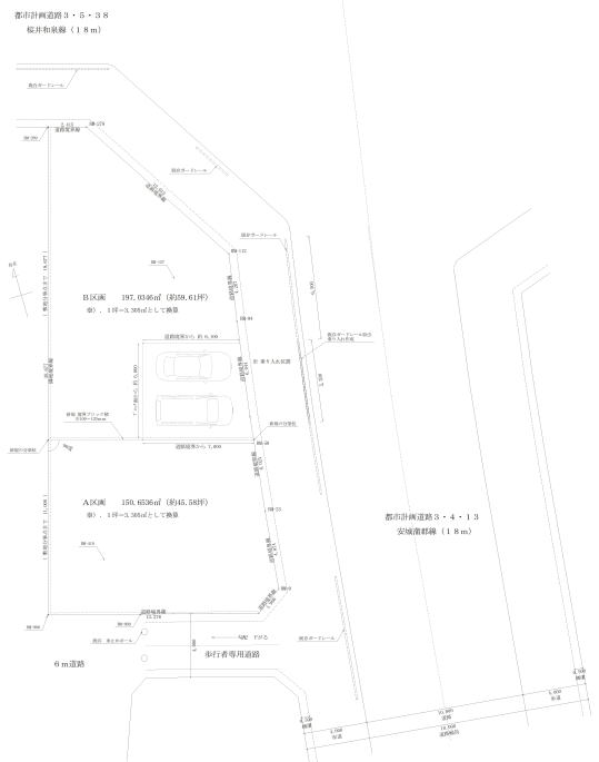
既に3区画お引渡し済、最後の1区画が完成
「古井町 軽桶A区画 長期優良住宅で分譲」
土地 及 造成 価格 1880万円
建物 及 外構 価格 2510万円
安城市古井町軽桶「愛染明王様お堂」の西の敷地
安城市の南部、名鉄西尾線の碧海古井駅から徒歩8分の敷地に建った長期優良住宅仕様の家です。
住宅用の敷地、約40坪〜約53坪「奥は延長敷き部を除いて約40坪」となる全4区画、既に3区画に長期優良住宅を建ててお引渡し済、最後の1区画に分譲住宅の建築をおこないました。
弊社では通称「A区画」と仮称していた物件、ご購入者様を募集しております。



古井町A区画については、弊社に隣接しておりますので、弊社の駐車場にお車をお停めください。






法連町3階建は賃貸住宅として貸出中なので、現在は現場内覧は出来かねます。
安城木材市場株式会社 電話 0566-76-2729 もしくは担当 大橋(おおはし)090-3447-7489






上記の2箇所4区画の建築条件付き分譲地については、下記の者が担当しております。
お問合せ及ご質問はメールいただくか、下記の連絡先へお電話ください。
安城木材市場株式会社 電話 0566-76-2729 担当 大橋(おおはし)090-3447-7489